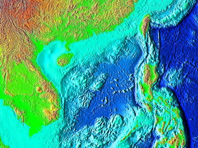
L’USS Connecticut, uno dei sottomarini più avanzati e segreti della US NAVY, in data 2 ottobre 2021, è stato coinvolto in una collisione subacquea; il sottomarino, uno dei soli tre costosissimi sottomarini classe Seawolf, stava operando nel Mar Cinese Meridionale quando è avvenuta la collisione.
Secondo quanto riferito, non ci sarebbero uomini dell’equipaggio in pericolo di vita.
Il servizio statunitense riferisce che il sottomarino è in condizioni "sicure e stabili" e che non ci sono state ferite mortali tra l’equipaggio. Il Connecticut avrebbe colpito un oggetto mentre era immerso nel pomeriggio del 2 ottobre, mentre operava in acque internazionali nella regione indo-pacifica. Il sottomarino è attualmente in condizioni di sicurezza e stabilità. L’USS Connecticut a propulsione nucleare rimane pienamente operativo. L'entità del danno al resto del sottomarino è in fase di valutazione. La Marina degli Stati Uniti non ha richiesto assistenza. L'incidente sarà chiaramente oggetto di indagine approfondita.
Nello specifico, la collisione è avvenuta nel Mar Cinese Meridionale, secondo US Naval Institute News. Undici marinai a bordo del Connecticut hanno riportato ferite di gravità variabile da lieve a moderata. Dopo la collisione, il sottomarino ha fatto rotta verso la base navale statunitense di Guam.
Il Connecticut è uno dei tre SS.N. classe Seawolf, progettati per immergersi in profondità per attaccare i sottomarini missilistici sovietici e operare sotto i ghiacci dell’artico. Un sottomarino, l'USS Jimmy Carter, è stato modificato tramite un allungamento dello scafo e si ritiene che operi per la raccolta di informazioni.
La classe Seawolf è un prodotto della Guerra Fredda", dice l'analista della sicurezza marittima Craig Hooper. L’USS Connecticut offre una superiore velocità, un carico di armi più ampio e capacità di sensori migliorate rispetto alla precedente classe Los Angeles. È la piattaforma che vuoi avere in un'area contesa."
La presenza del Connecticut nel Mar Cinese Meridionale non è sorprendente. Il Mar Cinese Meridionale è attualmente un punto caldo globale, poiché la Cina ha rivendicato circa il 90% di esso come proprio territorio, calpestando gli interessi dei suoi vicini. La Cina ha anche rivendicato un territorio che è altrimenti considerato come acque internazionali e ha persino costruito e ultimato  isole artificiali nella regione, complete di piste di atterraggio di livello militare, missili terra-aria e armi antinave.
Il Connecticut disloca immerso 9.284 tonn. Grazie al suo reattore nucleare, l’unità può viaggiare a velocità superiori ai 25 nodi (ma esattamente quanto sia veloce non è possibile saperlo). Ha un equipaggio di 140 persone ed è armato con otto tubi lanciasiluri in grado di lanciare sia missili da crociera d'attacco terrestre Tomahawk che siluri anti-nave Mk 48 ADCAP. Il Connecticut ha sede a Bremerton, Washington.
Il sottomarino d’attacco nucleare statunitense che ha colpito un oggetto sottomarino nel Mar Cinese Meridionale è attualmente a Guam per la fase di valutazione e di riparazioni preliminari.
La USS Connecticut (SSN-22) è arrivata alla base navale di Guam dopo quasi una settimana di navigazione in superficie del Pacifico dal Mar Cinese Meridionale.
Un team di valutazione dei danni del Naval Sea Systems Command sta esaminando l’unità nucleare al molo di Guam, Submarine Force. Il team NAVSEA è responsabile del coordinamento della valutazione dei danni e dello sviluppo delle raccomandazioni di riparazione, che vengono inoltrate alla Submarine Force US Pacific Fleet e NAVSEA per l’approvazione. Puget Sound Naval Shipyard è designato come autorità di supervisione navale per la valutazione e le successive riparazioni temporanee. La USS Emory S. Land (AS-39) è l'attività principale di manutenzione.
Parallelamente, la 7a flotta dell’US NAVY sta conducendo un'indagine di comando sull'incidente mentre COMSUBPAC sta conducendo un'indagine sulla sicurezza.
Dopo l'arrivo a Guam, due degli 11 marinai che sono rimasti feriti durante la collisione sono stati soccorsi a terra e sono subito tornati al sottomarino.
Non sono stati resi pubblici ulteriori dettagli su ciò che il Connecticut ha colpito nel Mar Cinese Meridionale.
Funzionari cinesi hanno chiesto ulteriori dettagli sull’incidente: "Gli Stati Uniti dovrebbero chiarire in dettagli specifici cosa è successo, compresa la posizione esatta dell'incidente, l'intenzione di navigazione della parte statunitense, i dettagli dell'incidente, l'oggetto colpito dal sottomarino, se la collisione ha causato una fuga nucleare o danneggiato l'ambiente marino locale, lo ha ribadito il portavoce del ministero degli Esteri cinese Zhao Lijian.
I funzionari della Marina hanno confermato che l' impianto e gli spazi di propulsione nucleare del Connecticut non sono stati interessati e rimangono pienamente operativi. Il Connecticut, che è uno dei tre sottomarini d'attacco classe Seawolf con base a Bremerton, nello stato di Washington, era partito a maggio per un dispiegamento nel Pacifico occidentale ed aveva effettuato almeno due scali in Giappone.
Il 7 ottobre 2021, abbiamo appreso che uno dei pregiati sottomarini ad attacco rapido della L'incidente si sarebbe verificato mentre l’USS Connecticut (SSN-22) stava operando all'interno o nelle immediate vicinanze del tumultuoso Mar Cinese Meridionale. Il sottomarino, gravemente danneggiato, successivamente si è diretto navigando in superficie verso Guam. Per fortuna, nessuno a bordo è deceduto e il reattore nucleare dell’unità è rimasto sempre in condizioni di sicurezza. 
Quello che ha colpito esattamente il Connecticut rimane un mistero, ma molti ci hanno espresso la loro totale perplessità su come un sottomarino nucleare multimiliardario che è carico di alcuni dei sensori più capaci del pianeta - letteralmente uno dei veicoli più avanzati che l'umanità ha mai costruito - può semplicemente imbattersi in qualcosa sotto le onde. 
Un veterano sommergibilista Aaron Amick, che ha trascorso 20 anni come sonarman a bordo della forza sottomarina d'attacco e missili balistici americana, ha precisato ai media: 
“””La navigazione sottomarina richiede una conoscenza molto dettagliata dell'area immediatamente circostante. Esistono due metodi comuni per ottenere una navigazione sicura e sommersa: mappe dettagliate e utilizzo attivo del sonar ad alta frequenza. I grafici altamente accurati sono sempre la prima scelta. Le trasmissioni sonar attive vengono utilizzate per confermare i controlli della profondità dell'acqua con la carta. Questi impulsi sonar attivi possono essere trasmessi davanti e ai lati dei moderni sottomarini. Questi sistemi sonar a corto raggio e ad alta frequenza rivelano gli oggetti subacquei vicini con grande chiarezza. Gli oggetti sommersi, come mine, relitti e altri sottomarini sono chiaramente visibili a un operatore sonar addestrato. Lo svantaggio dell'uso del sonar attivo è che è rilevabile a circa due volte la portata che consente all'operatore di cercare, nella maggior parte degli ambienti oceanici. Un tipico sonar ad alta frequenza e alta risoluzione può vedere fino a 5.000 iarde ed è vulnerabile al rilevamento fino a 10.000 iarde o oltre in buone condizioni. Ciò significa che un avversario può localizzare la posizione di un sottomarino e può rimanere inosservato mentre segue il sottomarino che emette sonar attivo finché utilizza il suo sonar ad alta risoluzione. Questa vulnerabilità al rilevamento è il motivo per cui il sonar attivo viene utilizzato raramente. Se i sonar per la mappatura del fondale verificano la posizione del sottomarino sulla carta, è meno necessario utilizzare un sonar ad alta frequenza e lungimirante che potrebbe rivelare la tua posizione. Le carte della Us Navy sono le più accurate in uso oggi. Sono digitali (con backup cartacei), il che consente loro di essere aggiornati più frequentemente. Idealmente, ogni sottomarino della Marina degli Stati Uniti ha la carta più recente che riflette accuratamente la realtà al di fuori dello scafo. In pratica, abbiamo scoperto che non è sempre così. Alcune aree del mondo hanno decine di iarde tra i fondali, questi punti ciechi possono nascondere formazioni topografiche che salgono dal fondo nell'inviluppo operativo di un sottomarino. Se un sottomarino sta operando in un'area in cui sospetta la presenza di sottomarini avversari, può scegliere di non utilizzare il sonar attivo ad alta frequenza per verificare la topografia circostante. Questo, come descritto in precedenza, è dovuto al fatto che le trasmissioni sonar forniranno la loro posizione se rilevate. Ciò significa che il sottomarino si affida alla stima dell'accelerometro per la posizione della nave.  Questo tipo di navigazione fornisce errori molto piccoli che si aggravano nel tempo. Alla fine, il sottomarino può essere fuori posizione di centinaia di metri o più. L'errore cresce con il tempo fino alla successiva correzione di navigazione. Ci sono modi per fissare la posizione del sottomarino che non coinvolgono il sonar, ma non rivelano quale topografia è nascosta tra i fondali su una carta. La collisione con sottomarini con equipaggio nel Mar Cinese Meridionale è una vera preoccupazione. Il corpo idrico è delimitato da molte nazioni che gestiscono sottomarini convenzionali e a propulsione nucleare. La Cina gestisce la più grande base sottomarina in Asia, la base navale di Yulin, nel Mar Cinese Meridionale. In qualsiasi momento, potrebbero esserci più sottomarini che operano nell'area.  Nazioni cooperative come Australia e Vietnam lavorano con gli alleati per gestire lo spazio acquatico ed evitare collisioni. Questo aiuta a ridurre il rischio di collisione. Altri paesi che non risolvono i conflitti delle operazioni sottomarine rappresentano un rischio reale per se stessi e gli altri sottomarini. Il rischio di collisione sottomarina nel Mar Cinese Meridionale è più probabile che in altre aree del mondo perché è un'area molto trafficata per navi di tutti i tipi, compresi i sottomarini. L'aumento dell'attività rende il sonar passivo meno efficace. I sottomarini possono, e lo faranno, nascondendosi in aree rumorose per mascherare la loro firma passiva a banda larga con il rumore di fondo. Ciò significa che due sottomarini possono passare molto vicini l'uno all'altro e nessuno dei due sentirà l'altro, se il rumore di fondo è abbastanza forte da mascherare entrambi i sottomarini. I veicoli subacquei senza equipaggio stanno cambiando il modo in cui gestiamo i sottomarini. Gli UUV possono operare in acque molto basse o ristrette che un sottomarino nucleare non sarebbe in grado di fare. Gli UUV utilizzano una combinazione di sonar e intelligenza artificiale per navigare in immersione con meno rischi per la vita umana. Se un UUV si arena, non rischia di danneggiare un reattore nucleare o di ferire membri dell'equipaggio perché non ha né l'uno né l'altro. Questa capacità ha reso gli UUV molto richiesti e utilizzati da molte marine in tutto il mondo. La topografia del Mar Cinese Meridionale è molto difficile da navigare a causa della sua elevata attività tettonica. Il fondo è in un costante stato di cambiamento. Alcune aree del Mar Cinese Meridionale sono molto profonde, con improvvisi cambiamenti di profondità in strutture molto poco profonde, quasi verticali che possono salire in superficie.  Questi pinnacoli rappresentano un pericolo per la navigazione e, se non rilevati in tempo, possono provocare una collisione in immersione. La misurazione della profondità del fondale al di sotto del sottomarino potrebbe non dargli abbastanza tempo per evitare un cambiamento topografico quasi verticale poco più avanti. La procedura standard durante una collisione in immersione è quella di spostarsi immediatamente a bassa profondità e mantenere un assetto positivo. Viene emesso l'allarme di collisione alle stazioni di controllo dei danni predeterminate. Viene fatto un annuncio sul circuito 1MC e tutti gli spazi segnaleranno danni al Damage Control Central (DC Central). Qualsiasi danno aggiuntivo come allagamento o incendio a seguito di collisione sarà affrontato dall'equipaggio e coordinato dalla persona responsabile in DC Central. Quando il sottomarino si avvicina al fondale, l'ufficiale di coperta determinerà se è sicuro risalire immediatamente. Se è sicuro, il sottomarino verrà in superficie e valuterà la situazione. Tutto questo avviene in pochi secondi. Avere una buona consapevolezza della situazione in ogni momento è la chiave per un recupero sicuro da qualsiasi incidente e previene l'aggravarsi del sinistro entrando in collisione di nuovo con una nave in superficie. A questo punto, il sommergibile non si immergerà più se lo scafo è compromesso in qualche modo. Se la cupola del sonar è danneggiata, ad esempio, potrebbero esserci più danni nei serbatoi di zavorra che non sono visibili. Pertanto, il sommergibile resterà in superficie fino al suo rientro in porto. La preoccupazione maggiore, dopo la sicurezza dell'equipaggio, è l’apparato nucleare di propulsione. Il contenimento è molto importante e verrà controllato immediatamente. Le pompe e le valvole che servono questi sistemi ad alta pressione e alta temperatura sono molto robuste e progettate per resistere agli urti, ma i controlli dei sistemi verranno eseguiti su ogni sistema nella sala macchine per garantire la sicurezza nucleare. Storicamente parlando, l'Ufficiale Comandante sarà sollevato dal comando alla prima occasione. Un ufficiale qualificato al comando dello squadrone sottomarino assumerà il comando senza tante cerimonie e verrà fatto un annuncio all'equipaggio. L'ufficiale esecutivo non prenderà il comando, in genere. L'indagine determinerà chi altro potrebbe essere colpevole. Il Navigatore, l'Assistente Navigatore e l'ufficiale di guardia saranno molto probabilmente squalificati dalla loro postazione, per lo meno. L'indagine verificherà il funzionamento dell'attrezzatura, i registri degli osservatori e le azioni immediate durante la collisione per determinare chi altro sarà disciplinato. Ogni pezzo di equipaggiamento che si muove su un sottomarino è attentamente bilanciato. Dai giroscopi alle pompe per l'acqua di mare, ogni attrezzatura dovrà essere controllata e probabilmente sostituita per mantenere una postura tranquilla in futuro. Ciò richiederà molto tempo in bacino di carenaggio e prove successive.
(Web, Google, Popularmechanics, Usni, Thedrive, Forumfree, Wikipedia, You Tube)
 
 
 
 
Nessun commento:
Posta un commento
Nota. Solo i membri di questo blog possono postare un commento.